CHARMEとは
症例
コンシェルジュ
キャンペーン
ご利用までの流れ
クリニック
LINEで割引情報をGET!
CASE
症例一覧
鼻
症例カテゴリに戻る
カテゴリ
全て(鼻)
小鼻縮小
鼻尖形成
耳介軟骨移植
鼻中隔延長
鼻プロテーゼ
その他
他院修正
クリニック
全てのクリニック
ヴェアリークリニック
くさのたろうクリニック
シェリークリニック
ラ・ブージュデンタルクリニック
プリモ麻布十番クリニック
コムロクリニック
WOMクリニック
id美容外科(韓国)
渋谷の森クリニック
キーワード
検索する
108
件の症例が見つかりました
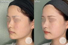
くさのたろうクリニック
鼻尖形成
耳介軟骨移植
くさのたろうクリニック
鼻尖形成
耳介軟骨移植
くさのたろうクリニック
鼻尖形成
耳介軟骨移植
くさのたろうクリニック
鼻尖形成
耳介軟骨移植
くさのたろうクリニック
鼻尖形成
耳介軟骨移植
くさのたろうクリニック
鼻尖形成
耳介軟骨移植
くさのたろうクリニック
耳介軟骨移植
鼻孔縁下降
くさのたろうクリニック
耳介軟骨移植
鼻孔縁下降
くさのたろうクリニック
鼻翼縮小
くさのたろうクリニック
鼻翼縮小
« 最初
1
2
3
最後 »
LINEで割引情報をGET!
CHECK!